| |
Erste Grundstücksbesichtigung im November 2011 |
Planung unseres Hauses in Agios Dimitrios - Stand April/September 2012
Seit Februar 2012 sind wir Eigentümer eines Grundstücks in Griechenland - auf dem Pilion. An dieser Stelle werden wir in Zukunft die Bauplanungen, Entwürfe und Fotos der Bauabwicklung beschreiben. Zunächst müssen wir aber erstmal Geld auftreiben - Architekten, Bauplaner und auch einige ortskundige Baufirmen haben wir schon kennengelernt.
WARUM? WARUM HIER? WARUM JETZT HIER?
Die Landschaft ist unvergleichlich in Europa - im Winter liegen bis zu 2m Schnee (übereinander).
Die Wälder sind GRÜN - auch im Sommer! Diese Gegend hat nichts mit den Kykladen oder so zu tun,
es ist eine völlig andere Seite Griechenlands. Mit tollen Stränden, schönen, beschatteten Wanderwegen.
Mit Tieren, die ich noch nie oder selten in der freien Natur gesehen habe.
Adler und andere Raubvögel, Stabschrecken, Gottesanbeterinnen, Salamander, Skopione.
Je nach Jahreszeit im Meer Delphine, junge Schwertfische, Rochen, Kalamare, Steinfische.
Mit Griechen, die so gastfreundlich sind, wie man es nur noch selten findet.
Massentourismus? Fehlanzeige! Diskotheken und Strandbeschallung? Animation? Gibt es nicht. Ruhe und sogar oft eine Form von meditativer Gelassenheit im Umgang mit den Gästen ist angesagt!
Und sie wird hier gelebt!
Keine Schlepper, die einen in ein Restaurant zerren möchten.
Und wer mal abends allein in eine "fremde" Gastronomie gerät, weil da der Fernseher so schön klein ist, wird nicht angemacht, weil er nichts essen will. Einen Ouzo gibts trotzdem. Und - na klar - wird man gefragt, wo man denn wohnt. Das gehört dazu. Aber nie habe ich ein Angebot bekommen, dass man ja woanders "günstiger" wohnen könne. NIE!
Man kennt sich, jeder kennt jeden - so organisieren sich die Pilioten mit ihren Gästen und sich selbst. Und das machen sie verdammt gut!
Das Skigebiet Chania ist nicht weit entfernt. Der Strand auch nicht! Wenn die Skifahrer oben noch die Piste runterfahren kann man im Februar schon - mit Jacke! - am Strand wandern.
OK - ES WIRD GEBAUT! HIER UNSERE PLÄNE:

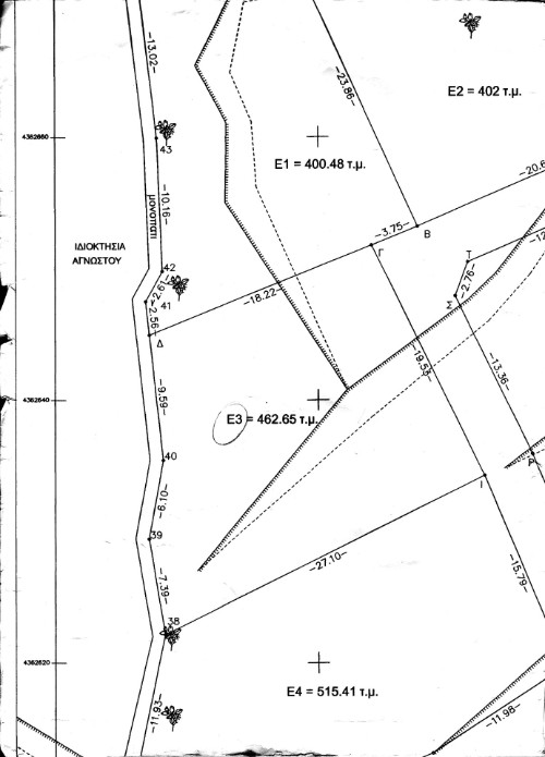
Unser Grundstück - E3 - grenzt an einem Fussweg (links) und einer internen Strasse (rechts) , die nicht öffentlich ist.
Das Grundstück ist nur ein Teil einer bebaubaren Fläche - uns gehört nur ein Teil davon: E3.

Rechts ist das Grundstück von der internen Strasse begrenzt.
Unser Haus wird in der gegebenen Hanglage erhöht stehen, um den Blick aufs Meer dauerhaft zu sichern.
Es ist Richtung Osten ausgerichtet - inkl. Sonnenaufgang über dem Meer.
Und, je nach Wetterlage, mit Blick auf die Sporaden.

Die Bauvorschriften sehen die traditionelle Bauweise des Pilion vor.
Die Aussen- und Innenplanung haben wir selbst erstellt -
so wie wir uns unser Haus eben vorstellen.
Links neben der Aussentreppe sind noch ein Fourno und ein Grill mit Sitzmöglichkeit geplant.
Der Haupteingang wird hier vorne nicht sein - er wird über Stufen links am Haus vorbei (von hinten) geplant.
Die Eingangstür ist dann im Plan "von oben" (siehe unten!) ersichtlich.
Steckdosen für einen Treppenlift werden auch mit geplant: Wer weiß?
Holzfenster sind Pflicht - und viele andere Sachen nicht genehmigungsfähig.
Ob z.B. das Dach mit Ziegeln oder mit Schieferplatten gedeckt werden muss, steht in den Sternen.


"Von oben" ist natürlich nicht korrekt - es ist der Blick auf das Haus vom Grundstück, das über unserem liegt.
In der oberen Zeichnung der Haupteingang, der bedingt durch die Hanglage zwar das Erdgeschoss erreicht,
aber nicht direkt vom geplanten Carport erreichbar ist.
Uns ist wichtig, den Blick in die Landschaft und aufs Meer zu behalten.
Da wäre ein Treppenhaus eher ungeeignet.
Ebenso werden wir anstreben, Kabel etc. in die Erde zu verlegen, um den allgegenwärtigen Mastensalat nicht im Blickfeld zu haben.

Im EG mit Zugang nach draussen ist eine Mischung aus Balkon und Terrasse angedacht.
Wichtig ist es uns, vom Wohnraum direkt nach draussen zu kommen, ohne den Haupteingang nutzen zu müssen.
Neben dem Wohnzimmer links eine kleine, aber gut geplante Küche, die genau wie das Wohnzimmer mit Holz beheizt und betrieben werden kann. Elektro auch, klar. Aber eine Kochmaschine hat nicht nur einen Heizwert, sondern auch eine Funktion als Kochstelle.
Ein kleines Gäste-WC, Garderobe unter der Treppe, Heizungsinstallation unter dem Treppenabsatz.

Das Obergeschoss wird nur aus zwei Räumen bestehen:
Ein Bad, das aus der Erdgeschosswärme (Kamine) beheizt wird.
Ein Schlafzimmer mit Balkon, dass über einen begehbaren Schrank mit dem Bad verbunden wird.
Unter der Treppe: Abstellmöglichkeiten, evtl. Speicher für Solarheizung oder ähnliches

Das Kellergeschoss- eigentlich kein Keller, sondern ein Souterrain.
Hier soll ein kleines Gästezimmer entstehen - mit Zugang nach aussen.
Andererseits benötigen wir Raum für eventuelle Heizung, Werkzeug, Eingemachtes,
Stromanschluss, Wasserzähler, Tierfutter...
Was wir an Wohnraum abknapsen konnten, haben wir gemacht.
Aber beim Tierfutter? Das wird hart.
Kellerfenster und Lichtschächte sind genehmigungspflichtig!
Das macht in dieser Lage kaum Sinn, weil es viele Monate im Jahr sehr feucht ist, und der Bau schon nach dem ersten Winter gammelt, wenn er nicht belüftet werden darf.
Ebenso wie Dachrinnen, SAT-Anlagen, Solar- und PV-Anlagen muss das vorab mit der Behörde abgesprochen und geklärt sein.
Ansonsten: entweder keine Baugenehmigung oder hinterher keine Abnahme des fertigen Bauwerks.
Was dann, ganz sicher, Folgen haben dürfte.